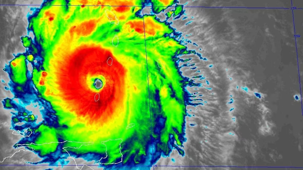
Huracán Beryl Arriba a Tulum en Categoría 2
- La Noticia al Punto

- 6 jul 2024
- 2 Min. de lectura
De acuerdo con el Servicio Meteorológico Nacional (SMN) de la Comisión Nacional del Agua (Conagua), el huracán Beryl arribó a Tulum como un huracán de categoría 2 con vientos máximos sostenidos de 175 kilómetros por hora (km/h) y rachas que alcanzan los 220 km/h. En las próximas horas, se espera que se desplace hacia el oeste-noroeste a una velocidad de 24 km/h sobre la península de Yucatán.
Zona de Prevención y Vigilancia
Ante la llegada de Beryl a territorio nacional, el SMN, en coordinación con el Centro Nacional de Huracanes (CNH) de Estados Unidos, ha establecido una zona de prevención por efectos de este fenómeno desde Puerto Costa Maya hasta Cancún, Quintana Roo, incluyendo Cozumel. Además, hay una zona de vigilancia por efectos de huracán desde Chetumal hasta Puerto Costa Maya y desde Cancún hasta Cabo Catoche, Quintana Roo, así como una zona de prevención por efectos de tormenta tropical desde Cancún, Quintana Roo, hasta Campeche, Campeche.
Impacto Climático
Las bandas nubosas de Beryl provocarán lluvias torrenciales de 150 a 250 milímetros (mm) en Campeche, Quintana Roo y Yucatán; lluvias intensas de 75 a 150 mm en Chiapas y Tabasco; rachas de viento de 175 a 215 km/h; oleaje de 6 a 8 metros (m) de altura; marea de tormenta de 3 a 5 m y posibles trombas marinas en las costas de Quintana Roo y Yucatán. En las costas de Campeche se prevén rachas de viento de 120 a 140 km/h y olas de 4 a 6 m de altura.
Huracán Beryl se Degrada a Categoría 1 rumbo a Yucatán
A las 09:00 horas del viernes 5 de julio, Conagua Clima informó que el huracán Beryl se degradó a categoría 1 en la escala Saffir-Simpson; el fenómeno se encuentra en tierra, a 95 km al noroeste de Dzilam, Quintana Roo, y a 160 km al este-sureste de Progreso, Yucatán.
La degradación del huracán reduce ligeramente la amenaza, pero las autoridades mantienen la alerta y continúan monitoreando su trayectoria y efectos en la región. Los residentes deben seguir las indicaciones oficiales y estar preparados para cualquier cambio en las condiciones meteorológicas.
Por Omar Carmona









Comentarios