top of page
Buscar


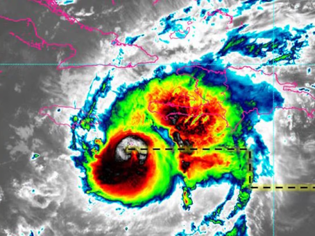
Huracán ‘Beryl’ se aproxima a Quintana Roo: Preparativos y alertas en marcha
El huracán ‘Beryl’ continúa desplazándose hacia las costas mexicanas y se espera que toque tierra este fin de semana en Quintana Roo. El...

La Noticia al Punto
3 jul 20242 Min. de lectura


All-Star MLS vs Liga MX: Messi encabeza la selección de estrellas
El mundo del fútbol se prepara para un emocionante enfrentamiento el próximo 24 de julio en el Lower.com Field de Columbus, Ohio, donde...

La Noticia al Punto
2 jul 20242 Min. de lectura


¡Alerta por el huracán Beryl y tormenta trópical!: ¿Cuándo llegan a México?
Al huracán Beryl se le ha calificado como “potencialmente catastrófico” por el Centro Nacional de Huracanes (NHC) de Estados Unidos,...

La Noticia al Punto
2 jul 20243 Min. de lectura


AMLO asegura que el sistema de salud en México será mejor que el de Dinamarca
El presidente Andrés Manuel López Obrador encabezó su conferencia ‘mañanera’ de este martes 2 de julio de 2024 desde Palacio Nacional,...

La Noticia al Punto
2 jul 20242 Min. de lectura


Inicia Dispersión de Recursos de Programas de Bienestar este Primero de Julio
Este primero de julio inicia en todo el país la dispersión de recursos de manera directa a derechohabientes y beneficiarios de la pensión...

La Noticia al Punto
1 jul 20242 Min. de lectura


Aprobación Ciudadana de AMLO Alcanza su Nivel Más Alto desde 2021
El nivel de aprobación ciudadana al presidente Andrés Manuel López Obrador alcanzó el 66 por ciento en junio, después de celebrados los...

La Noticia al Punto
1 jul 20242 Min. de lectura


Tormenta Tropical Chris Degrada a Depresión Tropical en Veracruz: Lluvias Torrenciales en Múltiples Estados
Autoridades del Servicio Meteorológico Nacional (SMN) confirmaron que durante la madrugada de este lunes la Tormenta Tropical Chris tocó...

La Noticia al Punto
1 jul 20242 Min. de lectura


Conoce lo que te deparan los astros según tu signo de hoy 30 de junio sobre la salud, dinero y amor
ARIES Hoy experimentarás un aumento en tus ingresos gracias a una buena oportunidad de trabajo adicional; aprovéchala sin reservas, ya...

La Noticia al Punto
30 jun 20246 Min. de lectura


Huracán Beryl se intensifica a categoría 3; se espera que alcance categoría 4
El Centro Nacional de Huracanes (NHC, por sus siglas en inglés) informó que el huracán Beryl se ha intensificado a categoría 3....

La Noticia al Punto
30 jun 20241 Min. de lectura


México vs Ecuador: a qué hora y dónde ver en vivo el partido de la Copa América
Este domingo 30 de junio se reanudarán las actividades del Grupo B de la Copa América Estados Unidos 2024 con el partido de la Selección...

La Noticia al Punto
30 jun 20242 Min. de lectura


La Copa MX Está Más Cerca Que Nunca: El Regreso del Histórico Torneo
La Copa MX está más cerca que nunca y el balompié mexicano podría regresar a la etapa que se vivía previo al 2020, según aseguró el...

La Noticia al Punto
29 jun 20242 Min. de lectura


Futuro del Transporte Público en México: Apuesta por la Electromovilidad en el Próximo Sexenio
Claudia Sheinbaum, próxima presidenta de México, tiene como una de sus principales apuestas la electromovilidad, así como la...

La Noticia al Punto
29 jun 20241 Min. de lectura


Lluvias Fuertes y Chubascos en estos estados hoy 29 de junio
Lluvias fuertes y chubascos serán la norma en cuatro entidades del norte del país durante esta jornada, de acuerdo con el pronóstico del...

La Noticia al Punto
29 jun 20241 Min. de lectura


Vigilan Tres Zonas de Baja Presión en el Atlántico que Pueden Formar el Huracán Beryl
El Servicio Meteorológico Nacional (SMN) ha añadido una nueva zona de baja presión a la lista de fenómenos meteorológicos bajo...

La Noticia al Punto
28 jun 20242 Min. de lectura


Reforma Judicial en Debate: Legisladores de Morena y PT Insisten en la Elección Popular de Jueces
Legisladores de Morena y PT reiteraron que la reforma judicial va adelante, destacando que la elección popular de jueces, magistrados y...

La Noticia al Punto
28 jun 20242 Min. de lectura


Desempleo Real en México Afecta a más de Once Millones de Personas
Más de cinco millones de mexicanos se cansaron y perdieron la ilusión de buscar empleo debido a la falta de oportunidades reales y los...

La Noticia al Punto
28 jun 20242 Min. de lectura


Peso Mexicano se Deprecia a 18.44 por Dólar en los Mercados Internacionales
La divisa mexicana en los mercados internacionales abrió en 18.44 pesos por dólar, lo que representa una depreciación de 0.62% o 11...

La Noticia al Punto
27 jun 20242 Min. de lectura


México Complica su Clasificación a Cuartos de Final de la Copa América 2024 tras Derrota ante Venezuela
La Selección mexicana puso en riesgo su calificación a los cuartos de final de la Copa América 2024, después de ser superada por...

La Noticia al Punto
27 jun 20242 Min. de lectura


La Onda Tropical Número 5 Traerá Lluvias Intensas a 18 Estados de México
La Onda Tropical número 5 propiciará lluvias muy fuertes a puntuales intensas en 18 estados del país durante este jueves 27 y viernes 28...

La Noticia al Punto
27 jun 20242 Min. de lectura


Calculadoras de Ahorro y Retiro para Trabajadores Formales
Si eres un trabajador formal y estás a punto de jubilarte, la Comisión Nacional del Sistema de Ahorro para el Retiro (Consar) pone a tu...

La Noticia al Punto
26 jun 20242 Min. de lectura
bottom of page




